

-
專注于包裝設備的設計與生產
為您提供專業的包裝設備解決方案
-
全球服務熱線:
13416770167
您的位置:
首頁 >
新聞中心
www.xiehouyudaquan.cn
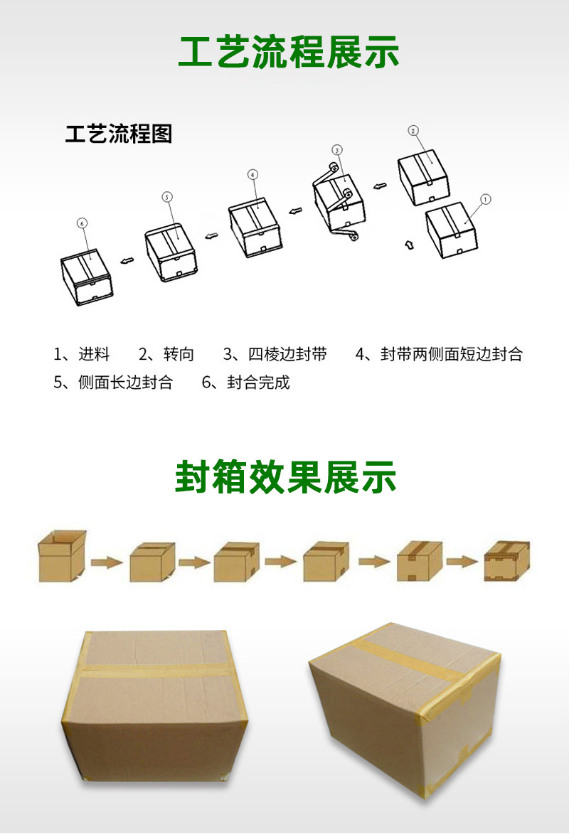
全自動工字封箱機有哪些優勢
發布日期:2025-02-28
- 牢固性強:采用獨特的 “工” 字封箱方式,橫向和縱向都有膠帶粘貼,相較于普通的一字封箱,能更均勻地分散外力,大大增強了紙箱封口的牢固程度,有效防止紙箱在搬運、運輸和存儲過程中出現封口開裂的情況,確保箱內物品的安全。
- 美觀整齊:通過精確的機械控制和膠帶粘貼技術,封箱后的膠帶線條筆直、間距均勻,“工” 字形狀規整,使紙箱包裝看起來更加美觀、專業,提升了產品的整體形象,有助于增強品牌的視覺效果和市場競爭力。
- 自動化程度高:具備自動完成紙箱輸送、膠帶粘貼、切割等一系列封箱動作的功能,無需人工進行繁瑣的操作,減少了人工干預,能夠實現連續不間斷的封箱作業,可顯著提高包裝生產效率,滿足大規模生產和快速發貨的需求。
- 高速封箱:運行速度快,每分鐘可完成多個紙箱的封箱任務,具體速度根據不同型號和配置有所差異,但普遍高于傳統封箱設備和人工封箱速度,能夠在短時間內處理大量的紙箱包裝,有效縮短了產品的包裝周期。
- 操作簡便:配備人性化的操作界面,通常采用觸摸屏或按鈕控制,操作簡單直觀。工作人員只需在操作界面上設置好紙箱尺寸、膠帶長度等參數,設備即可按照設定的程序進行工作,無需復雜的操作技能和培訓,降低了對操作人員的技術要求。
- 維護成本低:采用先進的設計和優質的零部件,設備運行穩定可靠,故障率低。同時,結構設計合理,便于日常的檢查、清潔和維護,維護保養工作相對簡單,減少了因設備故障而導致的生產中斷時間和維修成本。
- 紙箱規格兼容性好:具有很強的適應性,能夠通過簡單的調整或設置,適應不同尺寸、形狀和材質的紙箱封箱需求。無論是小型的電商包裹紙箱,還是大型的物流運輸紙箱,都能進行良好的 “工” 字封箱,適用范圍廣泛,可滿足不同行業和企業的多樣化包裝需求。
- 多行業適用:在物流、電商、食品、醫藥、電子、日化等眾多行業都能發揮重要作用,無論是對產品包裝的牢固性、衛生性有嚴格要求的食品醫藥行業,還是對包裝效率和外觀有較高標準的電子電商行業,都能很好地滿足其封箱需求,具有很強的通用性和普適性

















